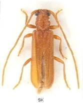
family CERAMBYCIDAE Latreille, 1802
subfamily CERAMBYCINAE Latreille, 1802
tribe Callidiini Kirby, 1837
genus Lioderina Ganglbauer, 1886
Lioderina linearis (Hampe, 1871)






Velikost 4-8 mm.
Bionomie. Staré ovocné sady, zahrady. Vývoj larev v slabých větvičkách Amygdalus. Údaje o datech odchytu na Slovensku se velice liší - od 4.V. do 3.VIII., maximum VI. Večerní a noční druh, přilétá na světlo.
Živné rostliny – Dříve byl bezpečně zjištěn pouze v Amygdalus communis L. (Řecko, Mafarsko, Bulharsko, Jugoslávie). Můj původní dojem, že podle tehdejších nálezů se jedná o monofágní druh, nebyl správný. Já jsem kdysi vypěstoval z Ulmus (Zemplín 1978) větší počet Axinopalpis gracilis a jeden kus Lioderina linearis, který jsem přehlédl. V poslední době byl údaně vypěstován i z jiných dřevin. Údaj o vývoji v Abies cephalonica (Řecko) se opírá o jedince, vychované vynikajícím specialistou na čeleď Scolitidae Pfefferem. Údaje tohoto entomologa jsou jinak zcela spolehlivé. Údaj nevylučuji, nicméně je otázkou, zda se mezi dovezené větvičky jedle omylem nedostala větvička Amygdalus.